
Affordable Cottage Housing in Sussex County, DE
Everyone deserves a safe, stable place to live. Little Living builds sustainable cottage communities for people who work hard yet struggle to keep up with rising costs—often earning between $40,000 and $64,000 a year. Our focus is simple: dignified, attainable cottages in connected neighborhoods across Sussex County and Kent County, Delaware.


Why Affordable Cottages Matter
When the cost of housing consumes most of a paycheck, families must sacrifice health, savings, and stability. By creating costeffective, cottagestyle homes, residents can reclaim security and a sense of belonging. Our model serves working individuals and families—without labels—so neighbors can live close to jobs, schools, and support.
Our Grassroots Beginning
After life‑saving surgery in 2020, founder George Meringolo felt called to give back. What started with home‑cooked meals for families under stress grew into an effort to design and build small, well‑planned cottages with trusted partners Ken Lloyd, Joe Aquilla, and Tom McElroy. Compassion turned into blueprints—and action.

One Cottage at a Time
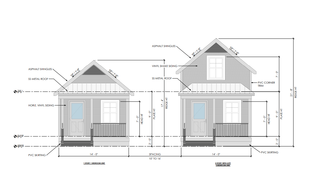
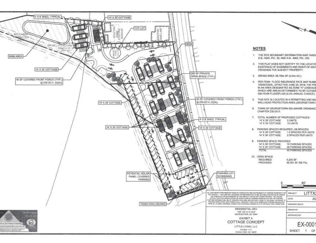
Each cottage belongs to a thoughtfully designed village with shared picnic area, playgrounds, gardens, and solar‑ready utilities. Our 20‑home cottage community in Georgetown located at 515 E. Market St. demonstrates a scalable approach that prioritizes quality, durability, and community life.

What We Do

Cottage Development
Compact, durable homes with smart layouts

Land Planning
Strategic sites with minimal waste and maximum access

Community Infrastructure
Shared spaces, gardens, and solar‑ready systems

Quality Construction Not Prefab
Every Cottage built one 2×4 at a time
Why Support Little Living?
Build Impact Locally
Your gift turns into real cottages for working neighbors.
All‑Volunteer Board
Funds go to projects, not administration
Strategic Sites
Locations that support walkability and long‑term viability
Self‑Sustaining Communities
Villages designed to thrive, not just get by
Delaware’s Governor
Matt Meyer
Recognizes
Little Living. Org
Yesterday – Today – Bringing Hope Tomorrow

